0289-74-7855

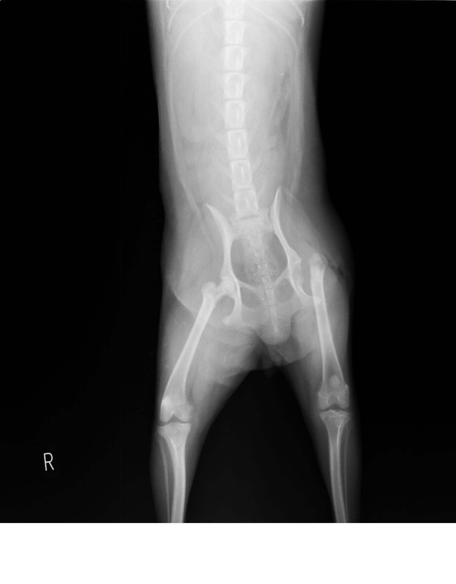
レッグ・カルべ・ペルテス病(無菌性大腿骨頭壊死症)

トイ・プードル
10ヶ月齢
避妊済み雌

約1ヶ月続く左後ろ足の跛行を主訴に、他院さんから紹介受診されました。レントゲン検査、臨床症状、若齢であることなどから無菌性大腿骨頭壊死症と診断し、大腿骨頭骨頸部切除術を行いました。現在リハビリ中ですが、順調に回復中です。

無菌性大腿骨頭壊死症は、大腿骨頭の骨端板が閉鎖していない若齢期に、大腿骨頭の非炎症性壊死を呈する疾患です。明らかな原因は解明されていませんが、成長期に大腿骨頭へ血液供給をする外側骨端動脈が閉塞することで、大腿骨頭の虚血性壊死が生じることが示唆されています。平均発症年齢が7.7ヶ月と報告されており、発生が早いのが特徴です。お薬での治癒は期待できないため、基本的には外科手術が必要になります。
左大腿骨頭は骨折していました
骨盤と大腿骨が離れているように見えますが、しばらくすると偽関節が形成されて正常と変わらず歩行できるようになります

別の猫の症例

胃切開術(異物誤飲)

サモエド7ヶ月齢未去勢雄前日の夜間にコーヒーフレッシュを食べ、その後から複数回嘔吐と食欲低下がある…

More

乳腺癌

ミニチュア・ダックスフント14歳8ヶ月避妊雌以前からあった左第4乳腺部の腫瘤が急激に大きくなったた…

More

肛門周囲腺癌

チワワ13歳8ヶ月齢去勢雄7ヶ月程前からある肛門周りのしこり(腫瘤)が大きくなってきていることを主…

More

症例集に戻る
copyright © しのはら動物病院 all rights reserved.